Экономика

Радий Хабиров: Башкортостан начал полноценно себя кормить

Радий Хабиров: Башкортостан начал полноценно себя кормить

Говоря о продовольственной безопасности с журналистами телекомпании «Вместе: РФ», Радий Хабиров отметил, что Башкортостан после 2014 года начал полноценно себя кормить и может экспортировать базовые продукты питания, в частности,

Радий Хабиров признал, что санкции нанесли серьёзный удар по экономике

Радий Хабиров признал, что санкции нанесли серьёзный удар по экономике

Глава Башкортостана не стал отрицать, что санкции нанесли «очень серьёзный удар по экономике» в интервью телекомпании «Вместе: РФ».

Сергей Канавский: «Уфа может стать площадкой для развития международного бизнеса»

Сергей Канавский: «Уфа может стать площадкой для развития международного бизнеса»

ХV юбилейный Форум «Международная неделя бизнеса 2022» проходит при поддержке делового совета Шанхайской организации сотрудничества.

Санкции позволяют использовать новые возможности в экономике –  Глава Башкортостана

Санкции позволяют использовать новые возможности в экономике – Глава Башкортостана

Башкортостана сумел не допустить «просадки» валового регионального продукта в этом году.

В Башкирии 1,5 тысячи домов получили оборудование, позволяющее экономить 15-20% тепла

В Башкирии 1,5 тысячи домов получили оборудование, позволяющее экономить 15-20% тепла

Возможность регулировать температуру теплоносителя в системе отопления многоквартирных домов позволяет соблюдать оптимальный режим подачи теплоносителя, создавая комфортную температуру в квартирах,

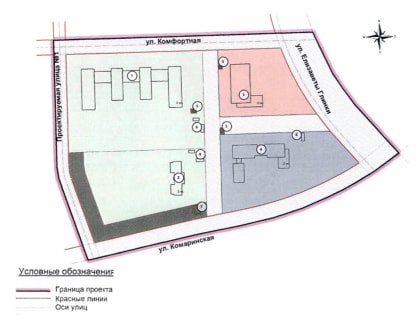
Для поселков южной части Уфы построят школу на 2200 мест, ФОК, детсад и очистные сооружения

Для поселков южной части Уфы построят школу на 2200 мест, ФОК, детсад и очистные сооружения

В Уфе утвержден проект планировки и межевания территории, ограниченной улицами Комаринская, Комфортная, Елизаветы Глинки в Калининском районе столицы республики.

В Уфе могут повиться новый завод, мазутный терминал и «Дом ракетки»

В Уфе могут повиться новый завод, мазутный терминал и «Дом ракетки»

9 декабря глава администрации г. Уфы Ратмир Мавлиев провел заседание Межведомственной инвестиционной комиссии в формате городского инвестчаса.

В Башкирии инвесторы оценили работу региональной Корпорации развития

В Башкирии инвесторы оценили работу региональной Корпорации развития

Корпорация развития Башкирии подвела итоги оценки своей деятельности со стороны инвесторов, находящихся на сопровождении у этого ведомства.

В Башкирии запустят производство суперабсорбирующих полимеров

В Башкирии запустят производство суперабсорбирующих полимеров

ООО «Газпром нефтехим Салават» планирует реализовать инвестиционный проект по импортозамещению современных зарубежных технологий, сообщает пресс-служба правительства РБ.

В Башкирии появятся новые нефтегазохимические производства

В Башкирии появятся новые нефтегазохимические производства

На «Инвестчасе» в правительстве Башкирии были рассмотрены и получили поддержку новые производства на «Газпром нефтехим Салавате».